本文
特定外来生物サビイロクワカミキリに注意してください
サビイロクワカミキリは主にイヌエンジュやエンジュなどの樹木を加害する外来のカミキリムシで、令和5年9月1日に環境省により「特定外来生物」に指定されました。
群馬県内での発生は確認されていませんが、「群馬県生態系等被害防止外来種リスト」では、「侵入警戒種」に区分しており、公園や街路樹への被害や、生態系への被害が懸念されています。
1 サビイロクワカミキリの特徴

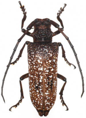
成虫(メス)(福島県提供)
|
名称(和名) |
サビイロクワカミキリ |
|---|---|
|
原産地 |
中国、インド、ミャンマー、タイ、カンボジアなど |
|
体長 |
体長 約29~37ミリメートル |
|
特徴 |
サビ色の体に白い斑点があるのが特徴。上翅基部には顆粒状の突起がある。 |
|
生態 |
|
|
被害樹木 |
主にイヌエンジュやエンジュなど。 |
|
主な被害 |
|
2 被害樹木の確認方法
日本国内においては、街路樹や市街地等に植栽されているイヌエンジュ、エンジュへの加害が確認されています。加害対象木に次の痕跡がある場合、サビイロクワカミキリの被害が疑われます。
産卵痕
サビイロクワカミキリの産卵痕は、成虫の分泌物で塗り固められ、円丘を形成します。

産卵痕(福島県提供)
3 駆除方法
サビイロクワカミキリの被害が確認された、もしくは被害の強い疑いがある場合、被害の拡大を防ぐために早急な駆除が必要です。
サビイロクワカミキリの主な防除方法は以下のとおりです。
(1)成虫の駆除
成虫の拡散による被害拡大を防ぐため、発見した場合は、踏みつぶすなどしてその場で駆除してください。
(2)被害木の伐採駆除
被害の拡大を防ぐために最も有効な方法は、被害が発生した、もしくは被害の強い疑いのある樹木を全て伐採することです。
- 伐採する場合は、成虫の発生しない時期(10月~5月頃)に処理してください。
- 伐採後は速やかに焼却・粉砕等をしてください。伐採した木を放置すると成虫が発生してしまいます。また、伐採木搬出の際はカミキリムシの拡散を防ぐため、虫が逃げ出さないようにシートで覆うなど逸出防止措置も必要です。
(3)薬剤駆除
伐採ができない場合は、樹木類、カミキリムシ類に登録のある農薬を使用し、駆除をしてください。農薬の使用に当たっては、必ず登録内容を確認してください。
※ 農薬登録情報提供システム<外部リンク>(出典:農林水産省ウェブページ)
4 サビイロクワカミキリと疑われる状況を発見した場合
成虫を発見した場合、被害拡大防止のため、その場で駆除してください。また、成虫を駆除した場合や、被害が疑わしい樹木を発見した場合、可能な範囲で写真等の記録をとり、所在地の市町村か当課まで情報提供をお願いします。
5 参考情報
特定外来生物等一覧 | 日本の外来種対策 | 外来生物法<外部リンク>(環境省ウェブページ)








